|
|
 |
 |
|
GWR Route: Banbury to Wolverhampton
GWR Route: North Warwickshire Line
Tyseley Shed: gwrt2984
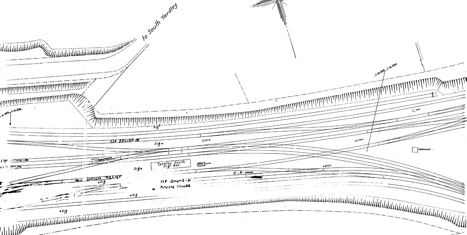
Plan of track layout at the Junction with the North
Warwickshire Line prior to 8th June 1913, when the running lines were changed
from being paired by direction with loop lines on either side of
the Main lines, to being paired by use with separate Main and
Relief lines. Here the Main lines ran through the centre of the station and in
front of Tyseley South Signal Box. The subsequent track layout is shown in 'gwrt2976'.
Robert Ferris
back

|
|
|