LMS Route: Birmingham New Street to Nuneaton
Forge Mills Station: mrforg1057
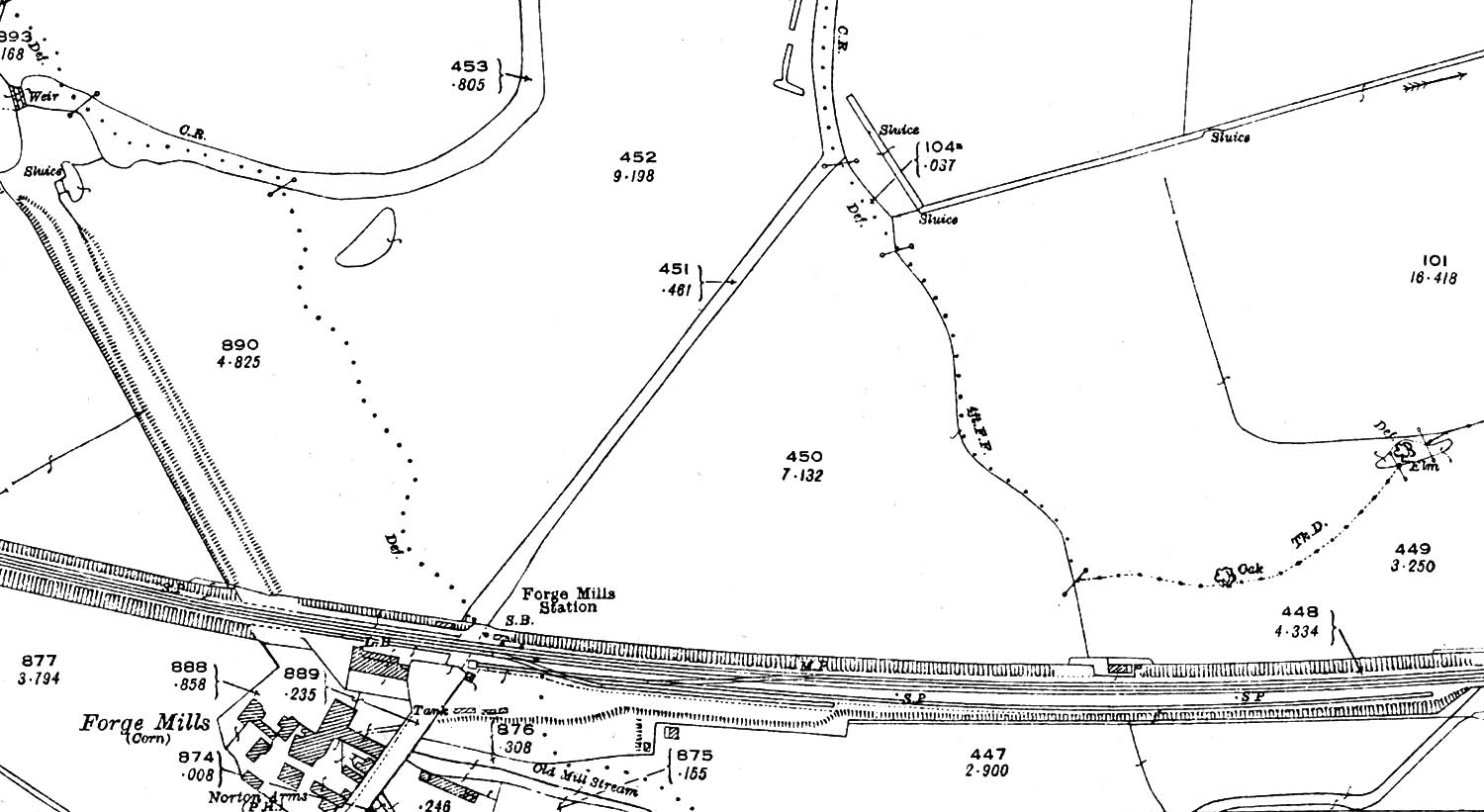
A 1924 25 inch to the mile Ordnance Survey map showing Forge
Mills station and its goods yard. In the forty years since the 1886 survey
there has been little change to the station and the immediate surrounding
area.
back

|