LMS Route: Stratford Midland Junction - The Shakespeare
Route
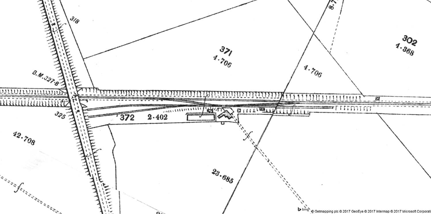
Burton Dassett Platform: smjbd194
A 1904 25 inch to the mile Ordnance Survey Map showing the
extent of Burton Dassett Sidings. In this view the sidings forms a short
passing loop and do not pass beneath the bridge as seen in image 'smjbd188'.
The platform would not be built until 1909.
back
 |