 |
|
London North Western
Railway:
 Midland
Railway:
 Stratford
Midland Junction Railway
|

|
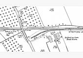
Bidford-on-Avon Station
The East & West Joint Railway (E&WJR) had
intended to give itself access to Birmingham via Fenny Compton and to the
south-west via Stratford upon Avon. Whilst the E&WJR had initially intended
goods traffic from the Northampton area to be handed over to the Great
Western Railway (GWR) at Stratford upon Avon the GWR refused to cooperate
insisting that goods traffic be exchanged at Fenny Compton. This meant that for
many years the railway failed to fulfil its potential and it wasn't until the
extension to Broom was built in the guise of the Evesham, Redditch and
Stratford-upon-Avon Junction Railway (ER&SJR) that the power of the GWR
declined. The Evesham and Redditch Railway (E&RR) had opened a
north-south line in 1866, and was aligned to the Midland Railway (MR).
Its line lay only eight miles west of Stratford, and the E&WJR sponsored
the promotion of the ER&SJR. This line was authorised on 5th August 1873,
and ran west from Stratford to a junction at Broom on the E&RR. The
junction at Broom led towards Birmingham. The heavy mineral traffic was
destined to move southwards, and the reversal in the restricted layout was to
prove inconvenient. It opened on 2nd June 1879 and the seven mile line was
worked by the E&WJR; running powers were obtained to Redditch, but they
were only exercised from the junction at Broom to the station there. This line
was immediately unprofitable and it too went into receivership, but continuing
to trade, from 2nd January 1886. The opening of this extension allowed, as
planned, the E&WJR to pass its traffic on to the MR at Broom Junction
thereby cutting out the GWR. The MR did initially use the line routing its
Bristol and Gloucester to London traffic over the ER&SJR/E&WJR, and
their successor the Stratford Midland Junction Railway (SMJ) (its Banana
trains were of particular note) until 1912 when it re-routed it's traffic via
Wigston Junction an action saving them, but costing the SMJ in lost revenue,
some £1,100 per annum.
Bidford station was the first station of two stations
on the 7½ mile extension on the route from Broom to Stratford upon Avon
and opened on 22nd February 1885 not being named Bidford-on-Avon station
until 1st July 1909. The single-line route was operated on the 'staff and
ticket' principle which limited the line to one train in occupation. A
passing loop had not been deemed needed so in 1884 the station consisted of a
single platform with a goods yard comprising of a single siding with a long
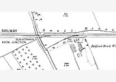
head shunt next to the kilns of Bidford Brick Works (see image 'smjboa163a'. The 1904
Ordnance Survey map showed the arrangement to be very similar with only the
head shunt being extended a little more. The 1922
Ordnance Survey map showed that the brickworks had been extended as had the
goods yard with two sidings and a revised track layout between the single line
and goods yard. A weighbridge and office are marked on the 1922 Ordnance Survey
however whilst not identified with the letters 'WM' the same buildings do
appear on both the 1884 and 1904 maps. Access to the passenger facilities and
to the goods yard was via two separate entrances off Icknield Street (now
Waterloo Road) as they were situated on either side of the old Roman Road.
Icknield street crossed the railway via a two-arch bridge, one arch of which
was used as the station office. Arthur Jordan
recounts a tale when schoolboys thought it would be 'great fun to block the
smoke stack much to the discomfort and annoyance of the occupants'. Wally
Weatherhead worked in that office and recalls 'that local boys would stuff rags
in the pipe causing the near asphyxiation of the office occupants'. The
rest of the station reflected the penury of the line, for it was comprised of
an old van body and a corrugated iron shelter. There were no goods facilities
other than a coal siding and a private siding serving a brick and tile
works.
In the early years both, Bidford and the only other station
on the line, Binton, had ground frames and signals allowing trains to be held
pending acceptance by the signalman at either Stratford upon Avon or Broom
Junction. Prior to the development of rural bus services both Binton and
Bidford on Avon stations handled daily commuters to: Stratford upon Avon,
Evesham and Redditch; whilst on Stratford upon Avon's Annual Mop Fair day as
many as three hundred extra passengers would be carried on the 6:15pm special
train at a fare of 6½d (3p) return. During the plum season the station
was very busy as was its neighbour Binton with as many as twenty wagons a day
being used to carry the produce off to market. Bidford even had a thriving
business despatching large quantities of Hay to 'The Railway Provendor Company'
at Manchester with each wagon taking one hundred trusses each. A single siding,
later duplicated, had to serve the coal yard before running on into the 'Brick
& Tile Company's works. The Railway Clearing House's 1929 Handbook of
Railway Stations states Bidford on Avon provided the general public and
businesses with a very limited service: Goods traffic and Passenger and Parcels
traffic (GP). There were no cranage facilities provided in the goods yard so
merchants would either have to man handle the loading/unloading of goods
themselves or, if necessary, bring in a mobile crane. The 1894 edition of The
Railway Clearing House's Handbook of Railway Stations also recorded the
same limited facilities (GP).
The line between Stratford upon Avon and Broom was treated
as being separate by the LMS and passenger traffic was minimal, being limited
to, in 1905 for instance, four trains daily in each direction. The economy
measures brought in as a result of the First World War, which impacted upon all
of Britain's railways, compelled the SMJ to close the station on 19th February
1917 which continued until 1st January 1919. The level of service continued at
four trains daily in each direction until 1938, when the Second World War meant
that the service was reduced to one day train daily in each direction. Even
this service was discontinued when all passengers services between Stratford
upon Avon and Broom ceased on 16th June 1947. Despite the cessation of
passenger services, both Bidford and Binton station remained open until 23rd
May 1949 with freight traffic continuing for another decade, not ceasing until
1960, following which the line was lifted.
Much of the information provided on this and other linked
pages has been derived from books written by: Arthur Jordan The Stratford
upon Avon and Midland Junction Railway published by OPC; JM Dunn's The
Stratford upon Avon & Midland Junction Railway published by The Oakwood
Press; Messrs Preston Hendry & Powell Hendry in An Historical Survey of
Selected LMS Stations Volume One published by OPC; RC Riley and Bill
Simpson in their book A History of the Stratford-Upon-Avon and Midland
Junction Railway published by Lamplight Publications; David Blasgrove in
his book 'Warwickshire's Lost Railways' published by Stenlake Publishing which
has a brief illustrated overview of some of the stations; and finally Geoffrey
Kingscott's Lost Railways of Warwickshire published by Countryside Books
which has a section dedicated to the SMJR with 'Now and Then' photographs. We
would like to express our thanks to the members of the SMJ Society (www.smj.me)
for use of their information and images, in particular the late John Jennings
whose contribution can be seen on many of our SMJ pages.
Ordnance Survey Maps

|