 |
|
Stratford on Avon Station
Stratford Upon Avon has had three standard gauge stations
associated with the GWR or companies under its influence, two termini of
branches and one through station, the current station, which itself has been
subject to alterations to its layout over the years. Initially two branch lines
served the town each with their own terminus. The first station to open was
just south of the current station at Sancta Lane being the site of the
OWWR´s (Oxford, Worcester & Wolverhampton Railway) branch terminus
which was only operational for a very brief period of time, from 12 July 1859
to 24 July 1861. The second station located on the Birmingham Road, opened on
9th October 1860, was just to the north of the current station and served the
Stratford Railway Company's branch line from Hatton to Stratford Upon Avon, a
spur off the GWR's Oxford to Birmingham route. The obvious advantage of joining
the two branch lines was quickly recognised and the current station was opened
on 24 July 1861 with the Birmingham Road station being relegated to goods
traffic and the occasional excursion traffic, the latter ceasing in 1869.
The Alcester Road station was built as a two platform
station with possibly a bay platform located in a similar position to the
current platform 3. The Birmingham Road station remained open as a goods
facility until it too succumbed to the competition of road traffic on 6 May
1968. In the early part of the century, probably related to the GWR's decision
to open a new main line route to the West of England, the station was rebuilt
and upgraded to incorporate a third through platform on the up side of the
station although it is known it handled local services from Honeybourne and
Hatton. The third platform required the demolition of the up platform's
building and the creation of an island platform which shortened platform 2 at
the Alcester Road end to provide access to platform 3. Today with the closure
of the line to the south of Stratford Upon Avon the physical layout remains the
same but history has turned full circle as the town is now effectively served
by a terminal station.
The GWR, as with all the railway companies, extensively
promoted places to visit by their railway services and Stratford upon Avon and
other areas within Warwickshire were no exception. Robert Ferris has
transcribed some extracts from contemporary GWR books and these can be read by
clicking here. Whilst a number of books have
been written on the Great Western Railway's route to the West of England with
some information on Stratford on Avon station, the most definitive work is
contained in articles written by John Copsey and Chris Turner in two issues of
the Great Western Railway Journal, No 52 Autumn 2004 and No 53 Winter 2005.
Despite extensive use of their iterations in the captions of the photographs,
many near verbatim, these two articles cover a significant amount of detailed
information not included on the website. People wishing to learn more about the
operations at Stratford on Avon station and shed should therefore seek to
obtain copies of the two volumes published by Wild Swan of 1-3 Hagbourne Road,
Didcot, Oxon, OX11 8DP, Telephone 01235 816478.
Much of the information on this and other pages of
Warwickshire Railways is derived from articles or books listed in our 'bibliography'.
External views of Stratford upon Avon station
Looking towards Birmingham
Platform views
Looking south towards Honeybourne
Signal Boxes and Signals
Stratford upon Avon's Goods Shed and Yard
Aerial views of Stratford upon Avon
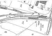
Schematic Drawings and Ordnance Survey Maps
Miscellaneous
Flower & Sons Brewery

|